Wróć na stronę główną

Obwieszczenie Prezydenta Miasta Świnoujście

Dodano: 65 tygodni temu

Obwieszczenie Prezydenta Miasta Świnoujście z dnia 27 listopada 2024 r. o przystąpieniu do sporządzenia miejscowego planu zagospodarowania przestrzennego Gminy Miasto Świnoujście w rejonie ulicy Krzywej wraz z prognozą oddziaływania na środowisko.

Na podstawie art. 18 ust. 2 pkt 5 ustawy z dnia 8 marca 1990 r. o samorządzie gminnym (Dz. U. 2024 r. poz. 1465 z późn.zm.) oraz art. 17 pkt 1, art. 14 ust. 1,4 i art. 27 ustawy z dnia 27 marca 2003 r. o planowaniu i zagospodarowaniu przestrzennym (Dz. U. 2024 r. poz. 1130 z późn.zm.) oraz na podst. art. 39 ust. 1 ustawy z dnia 3 października 2008 r. o udostępnianiu informacji o środowisku i jego ochronie, udziale społeczeństwa w ochronie środowiska oraz o ocenach oddziaływania na środowisk (Dz. U. z 2024 r. poz. 1112 z późn.zm.) zawiadamiam o przystąpieniu do sporządzenia miejscowego planu zagospodarowania przestrzennego Gminy Miasto Świnoujście w rejonie ulicy Krzywej na podstawie Uchwały Nr XCI/714/2024 Rady Miasta Świnoujście z dnia 29 lutego 2024 r. wraz z prognozą oddziaływania na środowisko.

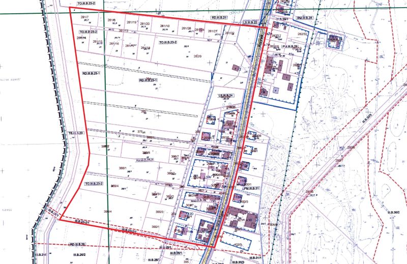
Przedmiotem zmiany planu miejscowego jest zmiana funkcji terenów oznaczonych w obowiązującym planie miejscowym jako TO.III.B.23-2, RD.III.B.23-1 to jest terenów otwartych i terenów ogródków działkowych na tereny o dominującej funkcji mieszkaniowej oraz terenu o symbolu LS.III.B.24, a także części terenu LS.III.B.22 i 04.III.KD.L na tereny komunikacji drogowej.

Zainteresowani mogą składać wnioski do wyżej wymienionego projektu planu zagospodarowania przestrzennego oraz do prognozy oddziaływania na środowisko.

Wnioski należy składać do Prezydenta Miasta Świnoujście wyłącznie za pomocą „FORMULARZA PISMA DOTYCZĄCEGO AKTU PLANOWANIA PRZESTRZENNEGO”  w terminie od dnia 4 grudnia 2024 r. do 31 grudnia 2024 r. Formularz jest dostępny w siedzibie Urzędu Miasta Świnoujście przy ul. Wojska Polskiego 1/5 w Biurze Obsługi Interesanta na stanowisku „Urbanistyka i Architektura” oraz zamieszczony w Biuletynie Informacji Publicznej Urzędu Miasta Świnoujście na stronie internetowej https://bip.um.swinoujscie.pl (w zakładce: zagospodarowanie przestrzenne/miejscowe plany zagospodarowania przestrzennego w opracowaniu).

Wnioski do projektu planu można składać w formie:

- papierowej – osobiście w Biurze Obsługi Interesanta Urzędu Miasta Świnoujście na stanowisku „Urbanistyka i Architektura” lub listownie na adres: Urzędu Miasta Świnoujście ul. Wojska Polskiego 1/5, 72-600 Świnoujście lub
- elektronicznie – za pomocą poczty elektronicznej (bez konieczności opatrywania wniosku kwalifikowanym podpisem elektronicznym) na adres: wnioski-wua@um.swinoujscie.pl lub platformy ePUAP (wymaga opatrzenia wniosku kwalifikowanym podpisem elektronicznym). 

Dodatkowo wnioski do prognozy oddziaływania na środowisko można składać ustnie do protokołu.


UWAGA:

Liczy się data wpływu do tut. Urzędu Miasta Świnoujście. Pisma niespełniające powyżej wskazanych warunków pozostawi się bez rozpatrzenia.

Organem właściwym do rozpatrzenia wniosków jest Prezydent Miasta Świnoujście.

Informuje, że:

1.       Złożenie formularza będzie stanowić odpowiedź na niniejsze Obwieszczenie.

2.       Zgodnie z art. 13 ust. 1 i 2 unijnego ogólnego zarządzenia o ochronie danych (tzw. RODO) administratorem danych osobowych jest Prezydent Miasta Świnoujście z siedzibą w Urzędzie Miasta Świnoujście, 72-600 Świnoujście ul. Wojska Polskiego 1/5.

3.       Pytania dotyczące sposobu i zakresu przetwarzania danych osobowych w Urzędzie Miasta Świnoujście, można kierować do Inspektora Ochrony Danych Urzędu Miasta Świnoujście za pomocą adresu: iod@um.swinoujscie.pl lub pisemnie na adres: Urząd Miasta Świnoujście, Inspektor Ochrony Danych, ul. Wojska Polskiego 1/5, 72-600 Świnoujście.

4.       Dane osobowe przetwarzane będą na podstawie art. 6 ust. 1 lit. c) i e) RODO w celu realizacji zadań określonych w ustawie z dnia 27 marca 2003 r. o planowaniu i zagospodarowaniu przestrzennym.

5.       Odbiorcami danych osobowych będą podmioty upoważnione na podstawie przepisów prawa.

6.       Dane osobowe będą przechowywane przez okres wynikający z przepisów prawa, w szczególności ustawy z dnia 14 lipca 1983 r. o narodowym zasobie archiwalnym i archiwach oraz rozporządzenia Prezesa Rady Ministrów z dnia 18 stycznia 2011 r. w sprawie instrukcji kancelaryjnej, jednolitych rzeczowych wykazów akt oraz instrukcji w sprawie organizacji i zakresu działania archiwów zakładowych.

7.       Składający wniosek ma prawo dostępu do treści swoich danych oraz prawo ich sprostowania.

8.       Składający wniosek ma prawo wniesienia skargi do organu nadzorczego, gdy uzna że przetwarzanie jego danych osobowych narusza przepisy ogólnego rozporządzenia Parlamentu Europejskiego i Rady (UE) 2016/679 o ochronie danych osobowych z dnia 27 kwietnia 2016 r. zgodnie z art. 77.

9.       Podanie danych jest wymogiem ustawowym i ma charakter obowiązkowy. Konsekwencją niepodania danych osobowych jest pozostawienie formularza bez rozpoznania.

10.   Podane we wniosku dane osobowe nie będą wykorzystywane do zautomatyzowanego podejmowania decyzji, w tym profilowania, o którym mowa w art. 22 RODO.

Załączniki:

O B W I E S Z C Z E N I E o przystąpieniu

Formularz_pisma_dot_aktu_planowania_przestrzennego

Formularz_pisma_dot_aktu_planowania_przestrzennego

OBWIESZCZENIE z dnia 27-11-2024 o przystąpieniu do sporządzenia mpzp_skan